
Một trong những mục đích khi thành lập Khu bảo vệ biển Rạn Trào (xã Vạn Hưng, huyện Vạn Ninh, Khánh Hòa) là hướng tới phát triển loại hình du lịch sinh thái cộng đồng nhằm góp phần tạo sinh kế cho người dân. Tuy nhiên, gần 15 năm qua, điều này vẫn chưa thành hiện thực và người dân vẫn tiếp tục chờ.
Một trong những mục đích khi thành lập Khu bảo vệ biển Rạn Trào (xã Vạn Hưng, huyện Vạn Ninh, Khánh Hòa) là hướng tới phát triển loại hình du lịch sinh thái cộng đồng nhằm góp phần tạo sinh kế cho người dân. Tuy nhiên, gần 15 năm qua, điều này vẫn chưa thành hiện thực và người dân vẫn tiếp tục chờ.
. Tái tạo những giá trị của Rạn Trào
Nằm cách TP. Nha Trang khoảng 60km về phía Bắc, Khu bảo vệ biển Rạn Trào được hình thành từ năm 2000 với diện tích 89ha, trong đó vùng lõi chiếm 54ha. Theo ông Lê Nguyên Khôi - Cán bộ dự án Trung tâm Bảo tồn sinh vật biển và Phát triển cộng đồng (MCD), trước khi hình thành Khu bảo vệ biển Rạn Trào, nơi đây phải đối mặt với nạn khai thác thủy sản mang tính tận diệt. Ngư dân trong vùng sử dụng thuốc nổ, thuốc độc, giã cào để đánh bắt thủy hải sản dẫn đến sự sụt giảm nghiêm trọng số lượng các loài thủy sản. Khi MCD thực hiện dự án bảo vệ biển Rạn Trào, người dân đã được tuyên truyền, phổ biến những lợi ích của việc tham gia bảo vệ vùng biển này. Tổ bảo vệ Khu bảo vệ biển Rạn Trào được thành lập với 6 thành viên. “Qua sự phân tích có khoa học của những người ở MCD, chúng tôi đã hiểu ra những bất ổn trong cách đánh bắt thủy sản. Vậy nên, để duy trì tính bền vững của hệ sinh thái cũng như nguồn sống của ngư dân, chúng tôi đã tình nguyện tham gia bảo vệ biển Rạn Trào”, ông Nguyễn Văn Phương - Tổ trưởng tổ bảo vệ Khu bảo vệ biển Rạn Trào chia sẻ.
![]() |
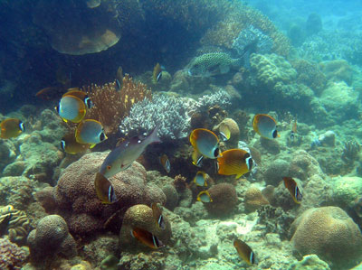
| Thế giới biển đầy lý thú ở Rạn Trào. |
Đến Rạn Trào bây giờ, chúng ta như bỏ lại sau lưng sự ồn ào của phố thị để hòa mình vào bầu không khí biển trong lành. Qua gần 15 năm kiên trì thực hiện, đến nay, Khu bảo vệ biển Rạn Trào đã tái tạo được 25ha rạn san hô với hơn 82 loài san hô thuộc 37 giống và 14 họ. Nhiều nguồn giống thủy hải sản trước đây đã cạn kiệt như tôm hùm, cá ngựa, hải sâm, ốc nhảy, bàn mai... đã được phục hồi, phát triển. Hiện tại, ở Rạn Trào có 114 loài cá, thuộc 45 họ, trong đó có 65 loài cá rạn san hô. Ngoài ra, đã xác định được 30 loài thân mềm, trong đó có những loại giá trị cao như ốc nhảy, sò lông, tu hài, ngọc trai đen, bàn mai, ngao rá. Thảm cỏ biển và rong biển ở Rạn Trào cũng khá đa dạng. Hệ sinh thái biển được bảo vệ khá tốt ở Rạn Trào thực sự là một nguồn tài nguyên đối với hoạt động du lịch. Du khách đến đây, ngoài việc được đắm mình trong làn nước biển trong xanh, còn có cơ hội tận mắt nhìn ngắm một thế giới sinh vật biển kỳ diệu, đầy màu sắc. Cùng quan sát cảnh từng đàn cá bơi lội tung tăng, nhìn những con ốc, con sò di chuyển chầm chậm hay vẻ đẹp muôn hình, muôn sắc của những loài san hô... Chắc chắn đó sẽ là những phút giây trải nghiệm đầy thú vị và ấn tượng đối với bất cứ ai.
. Trông chờ du khách
Một nhiệm vụ trọng tâm khác của Khu bảo vệ biển Rạn Trào là phát triển loại hình du lịch sinh thái biển dựa vào cộng đồng, góp phần tạo sinh kế bền vững cho người dân.
Để khai thác tiềm năng đó, lãnh đạo xã Vạn Hưng đã kêu gọi các doanh nghiệp đầu tư vào kinh doanh du lịch; phối hợp với MCD đưa người đi học cách làm các mặt hàng thủ công mỹ nghệ, nấu ăn, soạn bài thuyết minh về những giá trị của Rạn Trào cũng như nét đẹp văn hóa địa phương; vận động những nhà dân có cơ sở vật chất tốt đồng ý cho khách thuê trọ theo kiểu homestay... Tất cả đều đã sẵn sàng, nhưng Rạn Trào vẫn chưa thu hút được khách du lịch.
Ông Nguyễn Văn Lộc - Phó Chủ tịch UBND xã Vạn Hưng cho biết, địa phương đã xác định được những lợi ích khi hoạt động du lịch nơi đây phát triển. Vì vậy, để tạo sức hấp dẫn cho du khách khi đến đây, xã đã thiết kế tour để du khách không chỉ được trải nghiệm vẻ đẹp của hệ sinh thái biển Rạn Trào mà còn có điều kiện tìm hiểu về sinh hoạt của ngư dân, những địa chỉ tín ngưỡng, tôn giáo, những địa danh trên địa bàn như: Chùa Giác Hải, tịnh xá Ngọc Phổ, nhà thờ Vạn Xuân, núi Ông Sư, núi Phổ Đà, các đình làng cũng như tái hiện trò diễn Bá Trạo trong lễ hội cầu ngư. Không chỉ chính quyền địa phương, bản thân người dân nơi đây cũng ngóng chờ từng ngày để được đón khách du lịch. “Gia đình chúng tôi được tạo điều kiện đi học nghề làm mành ốc và làm túi xách bằng hạt cườm để tạo sản phẩm bán cho khách du lịch. Nhưng khách du lịch đến đây rất ít nên chúng tôi vẫn chưa thể phát triển nghề này được”, chị Lê Thị Thanh Huyền - thôn Xuân Tự 2, xã Vạn Hưng cho biết.
Thực tế, lâu nay vẫn có những đoàn khách đến Rạn Trào, nhưng chủ yếu là những đoàn tham quan, học tập của các trường, các khu bảo vệ biển trong nước. Còn đối tượng khách du lịch mang tính chất tìm hiểu, khám phá vẫn chưa được là bao. Vậy nên chăng, đã đến lúc huyện Vạn Ninh cần lên kế hoạch tuyên truyền quảng bá về điểm đến này. Các doanh nghiệp du lịch cần quan tâm tìm hiểu, từ đó có thể giới thiệu Rạn Trào đến du khách.
Nhân Tâm




